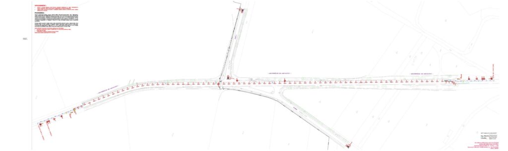
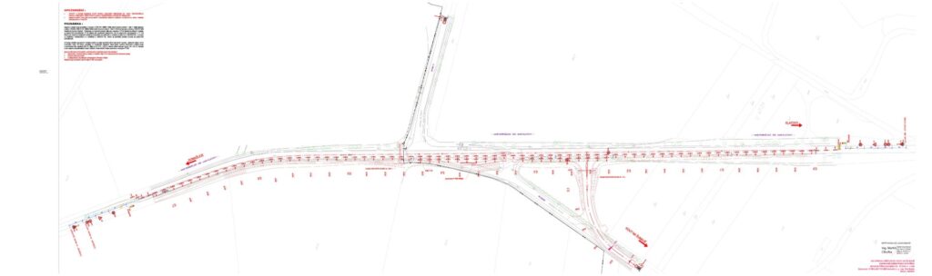
Dnešním dnem začínají práce na přestavbě křižovatky silnice I/22 se silnicemi III. třídy u obce Kout na Šumavě na hlavním tahu mezi Kdyní a Domažlicemi.
Provedením diagnostických prohlídek bylo zjištěno, že komunikace v místě křížení silnic I/22, III/0222a a III/18411, která je hlavním přístupovým bodem k obci Kout na Šumavě, už vykazuje poměrně značné množství závad. Jde například o množství vysprávek, nepravidelných podélných i příčných trhlin nebo olamování krajů vozovky. Ty jsou způsobeny zejména stářím vozovky a ztrátou původních vlastností asfaltového povrchu vozovky v daném úseku. Provedením opravy komunikace pak dojde k odstranění všech zjištěných závad.
Kromě opravy povrchu projde křížení silnic i poměrně značnou přestavbou. Stávající podoba odsazené křižovatky má nestandardní tvar. Hlavním cílem přestavby tak bude úprava napojení jednotlivých komunikací do podoby standardní odsazené křižovatky dle požadavků PČR.
V rámci stavebních prací projdou úpravou odsazená ramena křižovatky, stávající autobusové zastávky budou umístěny do samostatných asfaltových zálivů do prostoru mezi připojením odsazených ramen křižovatky. Pro lepší usměrnění provozu a zvýšení bezpečnosti budou vybudovány samostatné jízdní pruhy pro odbočení vlevo i vpravo a zřízeno bude i místo pro přecházení s dělícím dopravním ostrůvkem pro bezpečný pohyb chodců mezi autobusovými zastávkami.
Během stavby bude provoz na hlavním tahu omezen a částečně převeden na objízdné trasy. Silnice I/22 tak bude nadále průjezdná pouze pro vozidla nad 3,5 tuny, které budou stavbou projíždět jedním jízdním pruhem kyvadlově. Pro vozidla do 3,5 tuny bude silnice I/22 zcela uzavřena a řidiči budou muset využít značených objízdných tras.
Pro Ředitelství silnic a dálnic provede stavební úpravy na křižovatce společnost Silnice Klatovy a.s. za cenu 41,5 mil. kč bez DPH. Zcela průjezdný by měl být řešený úsek v polovině července letošního roku.









