Dnes začínají stavební práce na úpravě křižovatky silnic I/20 a III/2051 v rámci akce „Všeruby – Hunčice, úprava křižovatky“.
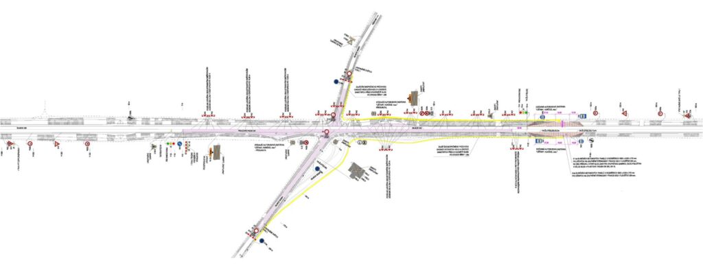
Křižovatka silnice I/20 a III/2051 mezi městem Všeruby a obcí Hunčice na trase Plzeň – Karlovy Vary projde v následujících měsících poměrně výraznými stavebními úpravami. Na hlavním tahu budou v obou směrech vybudovány nové plnohodnotné levé odbočovací pruhy a upraven bude úhel napojení silnice III/2051, a to v obou směrech. Stávající autobusové zastávky budou v obou směrech přeloženy do nové polohy za křižovatkou a budou umístěny do nových zastávkových zálivů. Mezi levé odbočovací pruhy a protisměrné jízdní pruhy budou na obou stranách křižovatky vloženy také dělící dopravní ostrůvky. Ty budou sloužit chodcům jako místa pro překonání komunikace mezi rekonstruovanými autobusovými zastávkami.
Během přestavby křižovatky bude silnice I/20 s omezeními i nadále průjezdná a provoz zde bude veden kyvadlově. Výraznější omezení se budou týkat silnice III/2051, která bude zcela uzavřena, a to v rámci dvou etap. Během první etapy bude silnice uzavřena v obou směrech, tedy ve směru od Všerub i Hunčic. Během druhé etapy už bude silnice uzavřena pouze ve směru od Všerub.
Doba platnosti:
I. etapa 29. 7. 2024 – 1. 9.2024
II. etapa 2. 9. 2024 do 6. 10. 2024
Stavební úpravy na trase provede společenství firem MI Roads a.s. a BES s.r.o. za cenu 21,3 mil Kč bez DPH.








